更生保護法人 少年の家
メインメニュー
コンテンツへ移動
ホーム
施設の規模概要
施設概要
ごあいさつ
地域社会との交流
沿革
仕事と内容
アクセス
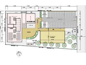
施設概要
玄関
居室
厨房
事務室
相談室
食堂
多目的ホール
平面図